Intervenção decorre entre as 20:00 e as 03:00 e altera a sinalização junto à Rua de São Martinho
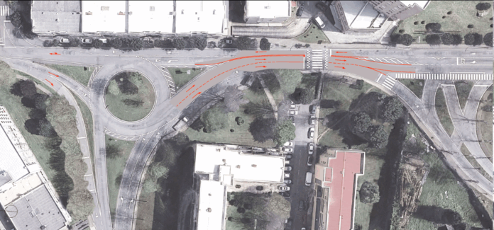
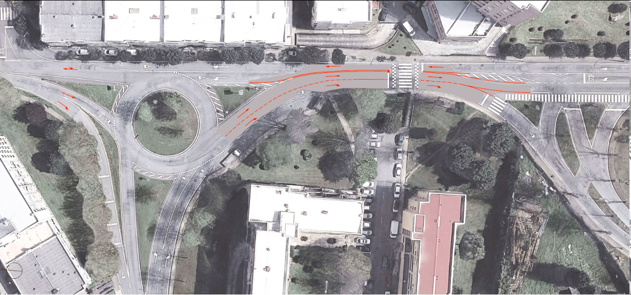
O Município de Braga informou que a reposição da via dupla no final da Variante de Real, na ligação com a Rua de São Martinho, será realizada na próxima segunda-feira, dia 19 de janeiro, em período noturno, entre as 20:00 e as 03:00.
A intervenção vai incidir na alteração da sinalização horizontal, permitindo que, após a rotunda das Parretas, a via passe novamente a dispor de duas faixas de circulação.
De acordo com a nova organização do tráfego, a faixa da direita ficará destinada aos veículos que seguem em direção à Avenida António Macedo, enquanto a faixa da esquerda permitirá o acesso ao centro da cidade.
Durante os trabalhos, a Polícia Municipal assegurará a segurança operacional e a fluidez do trânsito, minimizando eventuais constrangimentos à circulação automóvel.
































